DATA
物件情報
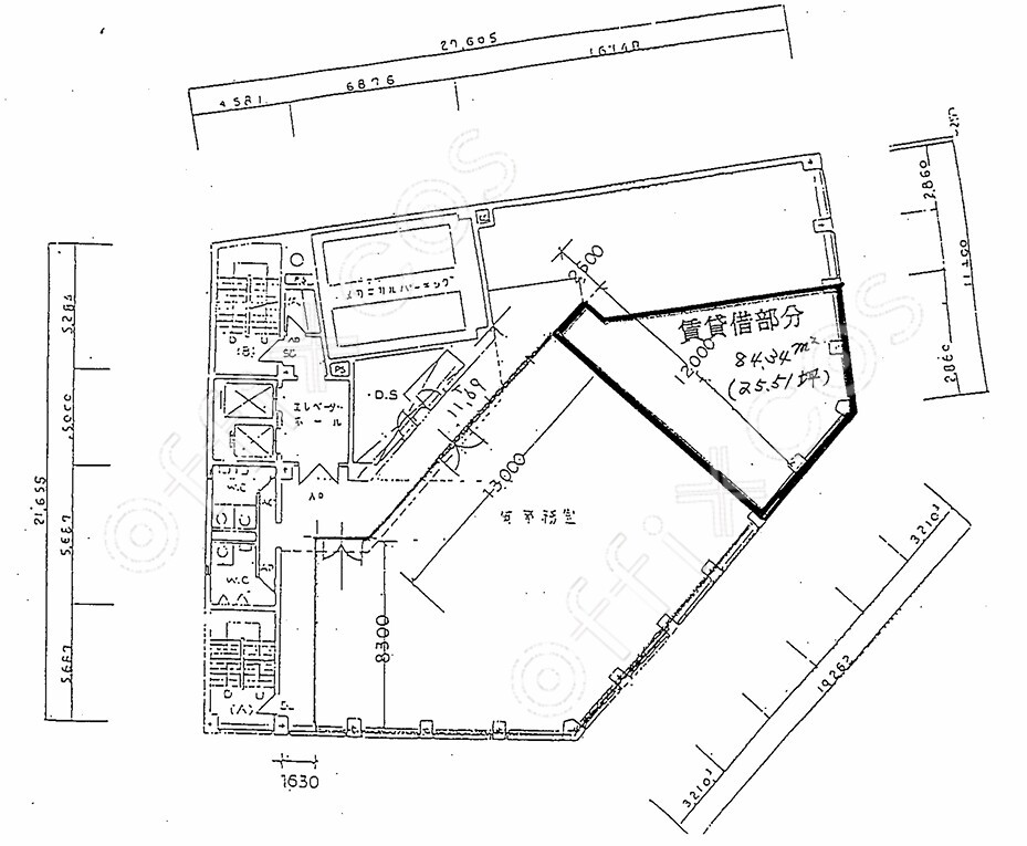
朝日生命矢場町ビル
朝日生命矢場町ビル
所在地 愛知県名古屋市中区栄3-32-20
駅 矢場町駅 2分
竣工日 1973年12月1日
耐震 〇
ビル主要設備 定借(2030年7月31日迄)、耐震補強工事済
朝日生命矢場町ビル
賃 料 178,570円(7,000円/坪)
共益費 要確認
敷 金 12ヶ月分
※初期費用についてはお問い合わせください。
部屋主要設備 定借(2030年7月31日迄)
その他 定借(2030年7月31日迄)、原状回復工事:定借満了時まで入居の場合免除(中途解約は免除なし)
営業担当からの
コメント
矢場町駅から徒歩3分、落ち着いた雰囲気のビルです。
本ページではビル内の一部の物件の画像を表示しているため、内観や間取り図がご希望の物件と異なる場合があります。
ビル一覧へ戻る